發新主題
列印

[保健醫療] 哈士奇腳外八是天生還是後天的??(有照)

哈士奇腳外八是天生還是後天的??(有照)

這是男友養的哈士奇
他小時候後腿是直的
走路不會紐來紐去
跑跳也不成問題

哈哈60天的時候
哈哈住到了男友家
因為男友家沒有籠子
所以把哈哈綁在椅子上
哈哈3個月來我家的時候
腳也是正常直直的

到ㄌ哈哈5個月來我家玩的時候
我發現他的腳有外八
而且走路沒什麼力氣...不能跑.會勒殘[台語]
我問了問
男友說從來沒帶他出門
只是一直綁著
他說哈哈很愛拖東西
是不是因為愛拖東西導致關節變形??

我就在想..是不是因為成長太快了(1天吃2餐.份量很多)所以導致關節病變??
我看到的時候嚇一跳
好肥阿...腳細細的.身上都是厚厚的肥肉.19公斤
哈哈躺著小便..看了好心疼喔

哈哈6個月的時候有去照x光
出來醫生說
膝蓋關節的連接處有分比較開(所以是膝關節???)
髖關節部分只有一點點(骨頭98%是接合的)
醫生說髖關節是後天的.不會遺傳
後來我問醫生..那膝關節的部分呢???
醫生答不出個所以然...(我看醫生根本不知道吧= =?)

還是..因為長期沒有運動+上吃太多+上每天24小時一直拖拉重物(椅子桌子)
所導致腳灣灣的

在我跟男友說明了之後.終於有每天帶哈哈在門口走一走.....
哈哈7個月了.前幾天來我家玩
很明顯的發現腳沒有那麼灣了
後腿也比較粗..有長肌肉了..
沒有躺著尿尿了.改蹲著0.0
帶去公園的時候走很快.有點小跑步也不再勒殘了..只是很愛拖人= =一直拖...(你在拉雪橇?XD)
雖然跑起來還是有些小怪怪(外八咩..)不過看起來滿正常的
哈哈目前只吃1餐
身上很容易摸到排骨
大約是21公斤


我想問...哈哈的腳外八會好嗎?
他真的有膝關節嗎?還是沒有?
還是只是單純的缺乏運動??只要多走路增加肌肉就會恢復??
如果真的有那會遺傳嗎??
因為很想讓他交配生個寶寶
自己留1隻
其他的看賣還是送養
之後再節扎..

更多照照http://www.wretch.cc/album/album.php?id=k0913037919&book=17

附加檔案

哈克來訪記 075555.JPG (53.55 KB)

2007-11-22 21:24

這張是7個月的時候腳外八

哈克來訪記 075555.JPG

哈克來訪記 07333.JPG (55.79 KB)

2007-11-22 21:24

7個月的哈克

哈克來訪記 07333.JPG

哈克來訪記 05666.JPG (52.91 KB)

2007-11-22 21:24

7個月的哈克

哈克來訪記 05666.JPG

___0242222222222222222222.JPG (53.48 KB)

2007-11-22 21:24

3個月的時候腳直的

___0242222222222222222222.JPG

____009444.JPG (37.95 KB)

2007-11-22 21:24

2個月的時候腳直的

____009444.JPG

____017444.JPG (51.91 KB)

2007-11-22 21:24

2個月的時候腳直的

____017444.JPG

____00444444444444444444.JPG (51.83 KB)

2007-11-22 21:24

1個多月的哈克

____00444444444444444444.JPG

TOP

我在想會不會是髖關節發育不全!! 建議你去好一點的動物醫院檢查看看~~~

還有髖關節發育不全是"會遺傳的"~~如果你家哈哈有 絕對不要讓他生寶寶

聽到醫生說不會遺傳 感覺這醫生有點兩光^^"

如果不是 有可以能是都沒讓狗狗運動 哈哈跟黃金一樣 都需要運動

一天最好帶出門一小時 讓腳肌肉強壯點~~游泳是最好的

TOP

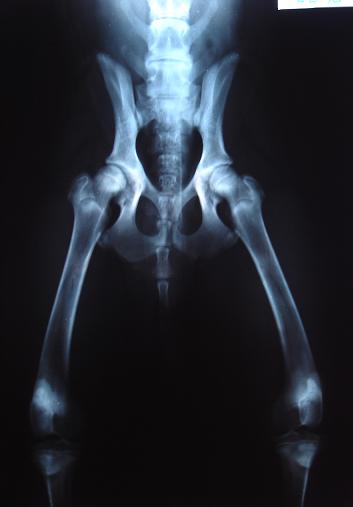
ㄆ  我有帶哈哈去拍x光 骨頭跟股股頭之間是密合的(只有一點點開.偶會補照片)
所以醫生說是後天ㄉ0.0
因為是密合的所以我才煩惱阿...
如果是分很開就很有可能是先天...
不過看了x光之後又沒異狀...
~@0@~混亂嚕

[ 本文最後由 小情 於 2007-11-23 14:55 編輯 ]

附加檔案

骨 004444.JPG (23.22 KB)

2007-11-23 14:55

6個月的時候拍的

骨 004444.JPG

TOP

那有可能是"男友說從來沒帶他出門只是一直綁著他說哈哈很愛拖東西"
導致後腳發育有點問題!!
請教醫生看看~~
看需要如何治療

TOP

因該是..

遺傳或後天的因素吧

有空帶它出來散步吧
寵登074號..
高山犬~巴戈~種公~種母~幼犬
種公徵配~高山幼犬~顏色~咖啡色~黃色~黑色~虎斑~白色~

TOP

建議你換好的獸醫師,
只要獸醫師答不出問題,我就會換一間試試看。

哈哈要多帶出去散步,
訓練他是人溜狗,非狗溜人,
建議你看戴更基醫師的書,你就會知道如何訓練,
哈哈很聰明,會學的很快。

他的關節沒解決前,建議不要讓他生產,很危險。

TOP

髖關節是會遺傳的喔~~如果狗狗有確定要讓他生小寶寶,自己就要額外注意!!通常大型狗狗腳的問題多,除了關節以外,後腳無力請看它跑步姿態,後腳拉的不開,就多多讓他跑步,不要常常綁著它,讓他自由活動~~累了它自己會休息!!
還有狗狗不要讓它吃太胖,大型狗狗很容易"趴蹄"!!會讓狗狗的姿態不漂亮~~
加油^^~

TOP

膝關節跟髖關節是會遺傳的~~
如果你的醫生跟你說不是遺傳的,我建議你換一問醫院~
因為你的醫生對此方向了解太少了

http://www.dogchd.net 犬髖關節狗友會

這個網站可以幫助你更了解有關髖、膝關節方向的知識

TOP

資料這麼全
要不要給楊清容醫師網路上看看
網址是www.qbow.com.tw
你在找一下討論區
也許你的狗狗是後天造成的
我記得很久前有收到qbow寄的一封信
談得好像是「偽髖關節發育不良」的樣子
說得就是後天外在環境不良引起的症狀
希望這些資訊對你有幫助
現在你天天帶他運動
會有很大的幫助
你算是哈哈生命中的貴人喔

TOP

發新主題